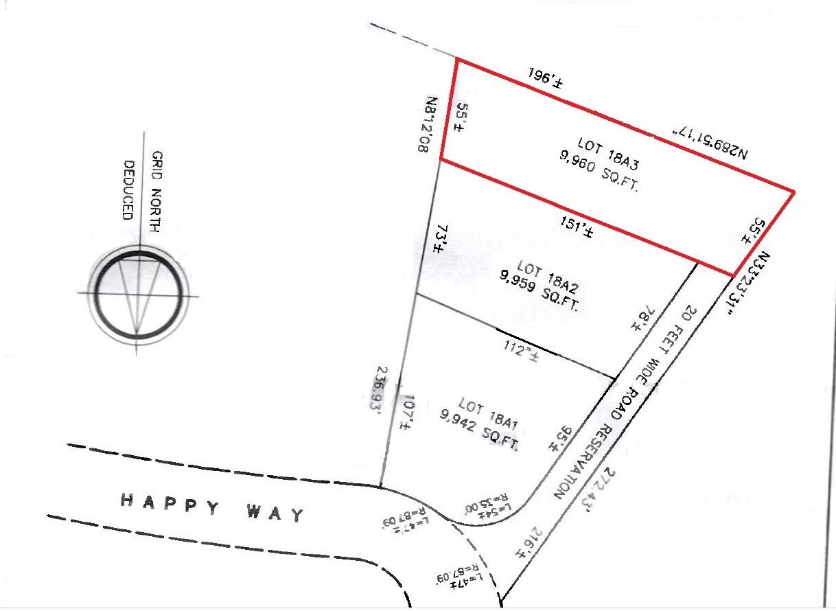
Lot 18A3 Love Estates
- Villas
- 9,960 sq.ft.
Property reference: b462-65182
Features
- Property Size 9,960 sq.ft.
- No of bedrooms Studio
- Built-up Area 9 Sq.Ft.
- Category Villas
Property Overview
Single Family Lot #18A3 in Love Estates stands out as the premier destination in the western district of Nassau, Bahamas, offering the best-priced and largest selection of generously sized lots. Nestled at the heart of numerous developments, residents benefit from easy access to a variety of amenities, including entertainment, Beaches, Schools, and Shopping. With its unbeatable value and convenience, Love Estates is the perfect choice for families and investors seeking an exceptional living experience in a thriving neighborhood.
Map View
- Villas
- 9,960 sq.ft.
Location & Nearby
-
Locations
-
Schools
-
Restaurants
-
Hospitals
-
Parks
Contact Person:








