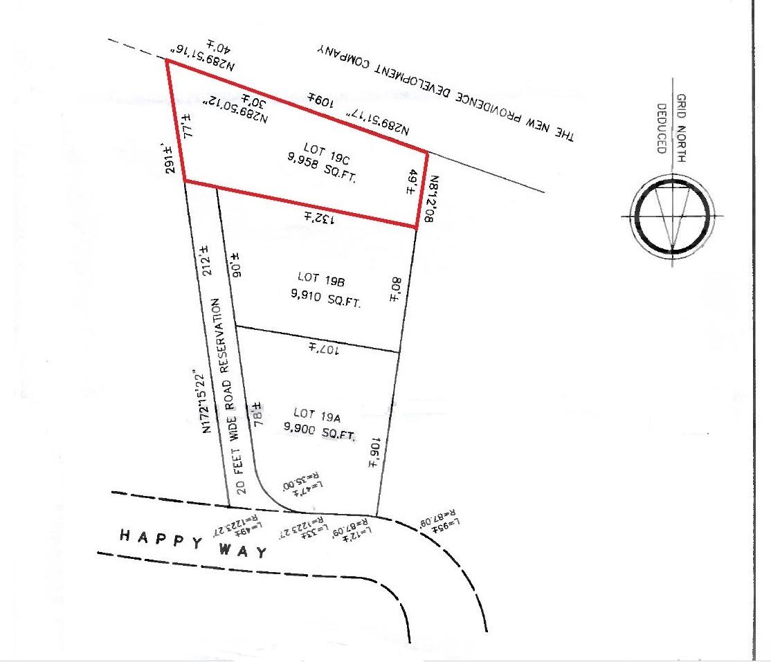
Lot #19C Love Estates
- Villas
- 9,958 sq.ft.
Property reference: b462-65185
Features
- Property Size 9,958 sq.ft.
- No of bedrooms Studio
- Built-up Area 9 Sq.Ft.
- Category Villas
Property Overview
Single Family Lot #19C in Love Estates stands out as the premier destination in the western district of Nassau, Bahamas, offering the best-priced and largest selection of generously sized lots. Nestled at the heart of numerous developments, residents benefit from easy access to a variety of amenities, including entertainment, Beaches, Schools, and Shopping. With its unbeatable value and convenience, Love Estates is the perfect choice for families and investors seeking an exceptional living experience in a thriving neighborhood.
Map View
- Villas
- 9,958 sq.ft.
Location & Nearby
-
Locations
-
Schools
-
Restaurants
-
Hospitals
-
Parks
Contact Person:









